关于吴淞江工程(上海段)新川沙河段-青年桥工程方案设计公示
2020-08-21 市规划资源局

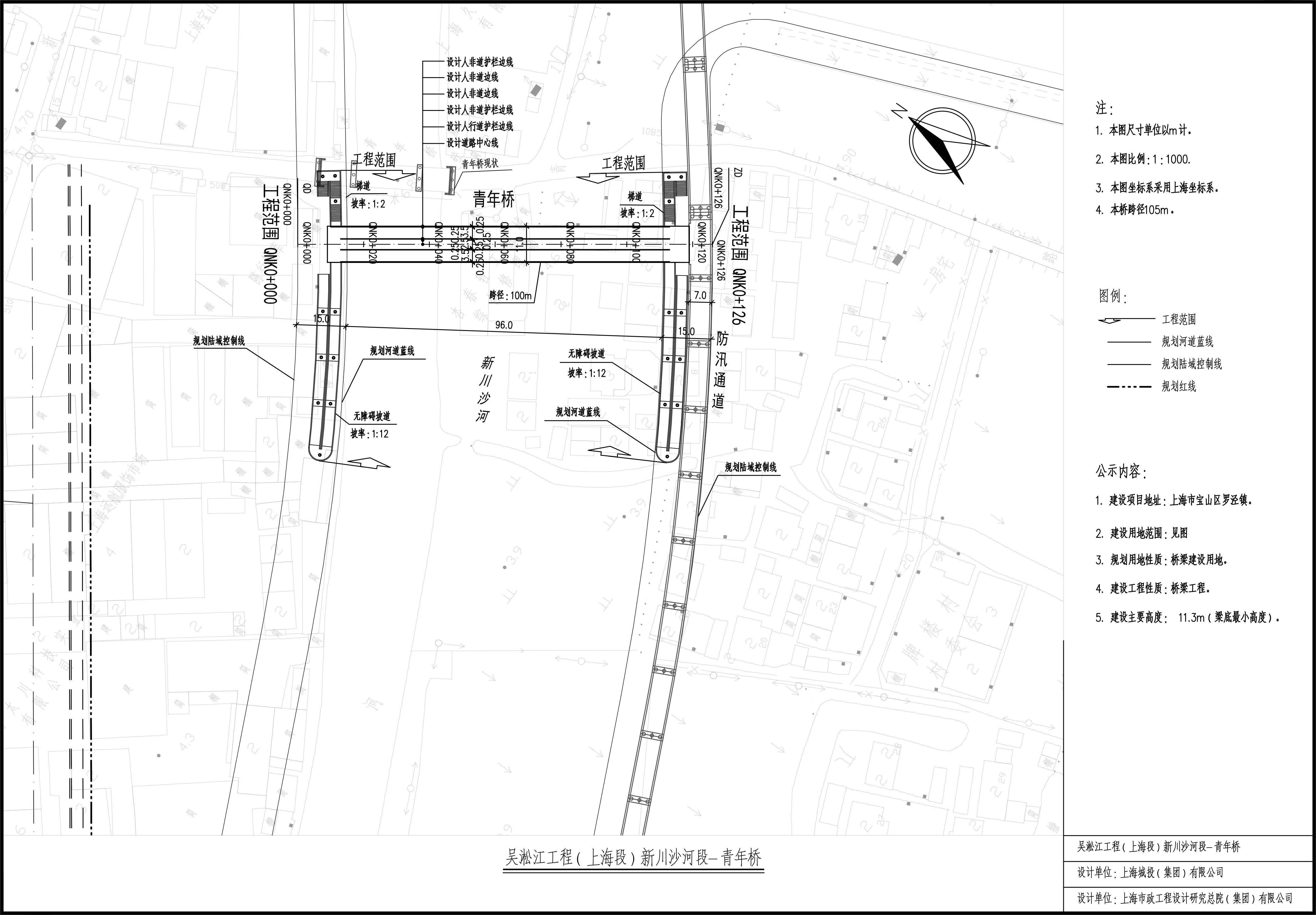
经上海市发展和改革委员会批准的“吴淞江工程(上海段)新川沙河段”(沪发改投(2020)208号)已经完成了方案设计,为了让周边居民了解该工程内容,现将该项目有关情况公示如下:
一、公示项目名称:吴淞江工程(上海段)新川沙河段-青年桥工程
建设单位名称:上海城投(集团)有限公司
建设项目地址:宝山区青年桥跨新川沙河
规划用地性质:市政公用
建筑工程性质:水利工程
公示时间:2020年8月21日至2020年8月30日
公示组织单位:上海市规划和自然资源局
二、接受反馈意见的途径和时间:
在接待地接受居民的书面反馈意见,反馈意见截止时间为2020年9月6日
接待地点:上海市宝山区长江路29号
接待时间:周一至周五,每天上午9:30—11:00,下午14:00—16:00
联系人:岳申舟
联系电话:021-65018855
三、书面反馈意见我局在公示结束后进行汇总,对设计方案中较集中的意见我局将择时回复。
上海市规划和自然资源局
2020年8月21日