关于油墩港航道整治工程(松江区界-闵塔路桥)-航道工程建设工程设计方案的公示 发布日期:2023-05-26
关于油墩港航道整治工程(松江区界-闵塔路桥)-航道工程建设工程设计方案的公示
2023年05月26日 上海市规划和自然资源局
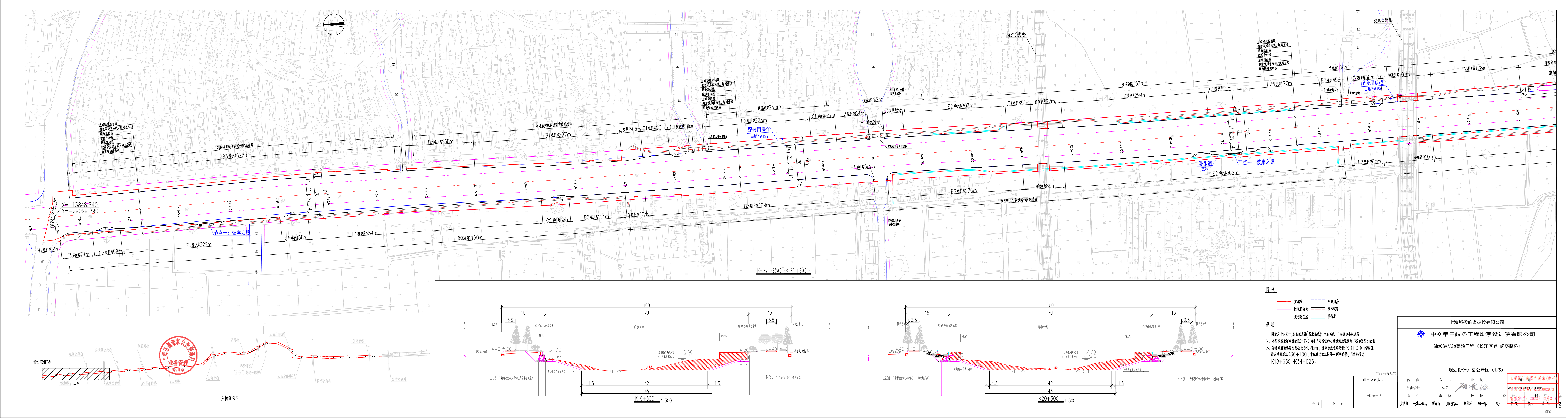
根据上海市建设工程设计方案规划公示的有关规定,现将上海城投航道建设有限公司油墩港航道整治工程(松江区界-闵塔路桥)-航道工程设计方案公示如下:

一、建设项目地址/建设用地范围:松江区佘山镇 北起青浦松江区界,南至闵塔路桥南侧
二、规划用地性质:道路广场用地,市政设施用地,水域和未利用土地
三、建筑工程性质:航道
四、公示期限:2023年05月26日 至 06月04日
五、收集公众意见时间:2023年05月26日 至 06月11日
六、意见反馈途径:公众可通过现场意见箱、信函、电子邮件等方式反馈意见。
联系电话:宋工 65018855
电子邮箱:ctglsongkp@chengtou.com
联系地址:宝山区长江路29号2楼
已在松江区佘新路358号佘山镇人民政府;松江区人民北路3456号广富林街道办事处;松江区人民北路1111号方松街道办事处;松江区广富林路4855弄112号松江经济技术开发区管理委员会;松江区松汇西路1188号永丰街道办事处;松江区学府路132号石湖荡镇人民政府设立现场意见箱,接收书面意见。相关单位或个人如对本项目设计方案有意见,请在收集公众意见时间内及时反馈。
上海市规划和自然资源局
2023年05月26日
相关附件